Bilocale in vendita

Cerveteri, Via del Bagolaro - Campo Di Mare
€ 119.000
2 locali 2 locali
40 Mq 40 Mq
1 bagno 1 bagno

Bilocale in vendita

Cerveteri, Via del Bagolaro - Campo Di Mare

Descrizione annuncio

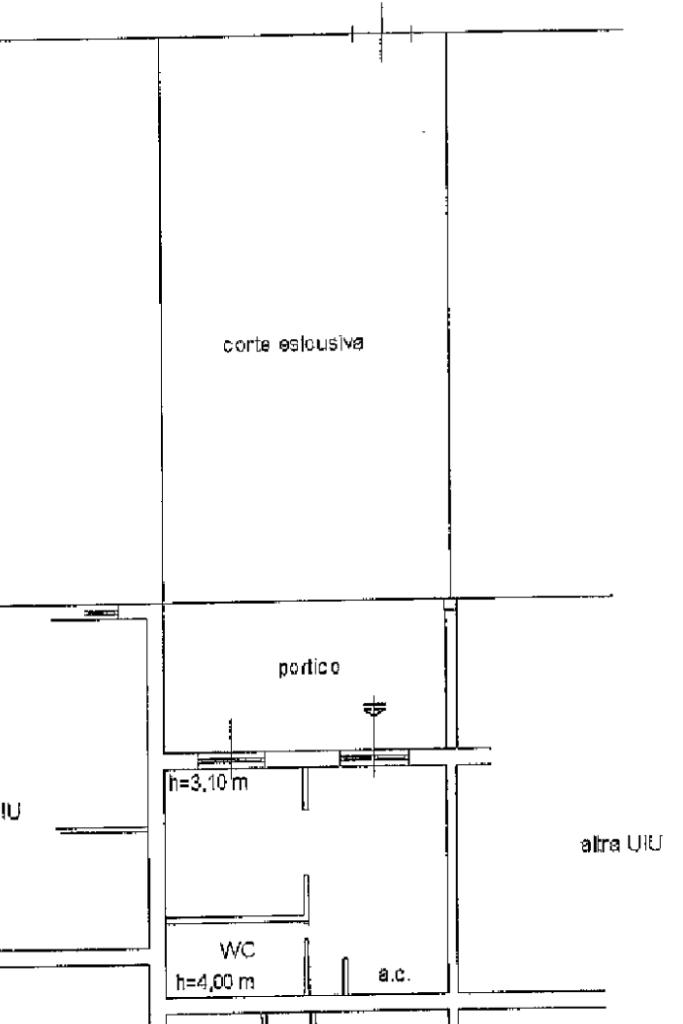
Appartamenti indipendenti con giardino a pochi passi dal mare


Piccoli appartamenti indipendenti con giardino a 700mt dal mare .

All’interno di un contesto verde e riservato, proponiamo in vendita appartamenti di circa 40 mq, tutti su un unico livello, con ingresso indipendente e spazio esterno privato.

Ogni unità si compone di:
• Cucina
• Camera matrimoniale
• Bagno
• Ampio portico coperto, ideale da vivere nelle stagioni più calde come naturale estensione della casa
•giardino privato

Una soluzione comoda e funzionale a pochi minuti dal mare.

La costruzione risale all'inizio degli anni 2000, all’interno di un comprensorio ordinato e ben mantenuto, a soli 1,5 km dalle spiagge di Campo di Mare.

Un’opportunità ideale per due target distinti:
• Chi cerca una residenza estiva al mare, facilmente gestibile e con spazi esterni fruibili
• Chi desidera investire in immobili da mettere a reddito, con l’obiettivo di avviarli alla locazione turistica

Disponibili quattro soluzioni identiche all’interno dello stesso comprensorio:
una adiacente e due sul retro, dal lato dell’ingresso.

Per caratteristiche, posizione e taglio, queste soluzioni rappresentano una proposta mirata a chi desidera un’abitazione pratica, accessibile e con ottime potenzialità di ritorno economico.

Contattaci per maggiori informazioni e per scoprire le unità disponibili.

Mostra tutto

Nelle vicinanze

Trasporto pubblico Trasporto pubblico
stazione di Marina di Cerveteri
stazione di Marina di Cerveteri
1,3 Km
Marina di Cerveteri
Marina di Cerveteri
1,9 Km
Scuola Fratelli Bandiera
Scuola Fratelli Bandiera
2,0 Km
Scuole Scuole
Istituto Comprensivo Statale Marina di Cerveteri
1,9 Km
Scuola d'Infanzia Marina di Cerveteri
2,0 Km
Scuole
2,0 Km
Via Fratelli Bandiera
2,0 Km
Liceo Pertini Succursale
2,0 Km
Farmacia Farmacia
Farmacia Comunale 2
1,5 Km
Farmacia Comunale
2,6 Km
Farmacia Firenze
2,9 Km
Supermercati Supermercati
Coop
1,9 Km
Carrefour Express
2,0 Km
EuroSpin
2,3 Km
Todis
2,6 Km
Negozi Negozi
Panificio Arte e Farina
1,8 Km
Body Chic
2,3 Km
Bar Bar
Da Ezio alla Torretta
280 m
Renzi
360 m
Ocean Surf Beach
470 m
Bar da Franco
670 m
Maitai
690 m
Ristoranti Ristoranti
Zelio Beach
250 m
Ristorante Agriturismo Torre Flavia
1,0 Km
La Grande Muraglia zhǎng chéng
1,2 Km
La Vela
1,3 Km
Ristorante Oceano D'oro
1,9 Km
Mostra tutto

Caratteristiche

Rif.:
61085715
Piano:
Terra con giardino di 1
Totale piani:
1
Posti auto:
1
Camere da letto:
1
Arredamento:
Assente
Mostra tutto
Prezzo Prezzo
€ 119.000
Rata mutuo Rata mutuo
€ 545 / mese
Spese annue Spese annue
€ 0
Proponi il tuo prezzoProponi il tuo prezzo

Classe Energetica

Questo immobile è esente da classe energetica
Anno di costruzione:
2003
Riscaldamento:
Autonomo
Tipo impianto:
Ad aria
Tipo alimentazione:
Aria

Ti interessa visionare l'immobile?

Fissa un appuntamento  Fissa un appuntamento

Richiedi informazioni

* Questi campi sono obbligatori

Calcola il tuo mutuo

Semplice e senza impegno
Anticipo

( % )
Mutuo

( % )

pochi semplici passi

inserisci i tuoi dati
Questionario completato
Grazie per aver richiesto un appuntamento senza impegno con un nostro Consulente del Credito e Assicurativo.

Hai inserito correttamente tutti i dati necessari e a breve riceverai una e-mail con un link da convalidare per inviare i tuoi dati.
Affiliato
Domina Srl
Viale Italo Chirieletti, 308/310 00052 Cerveteri (RM)

Il nostro staff


  • Gioia Cocozza
    Coordinatrice

  • Bianca Manole
    Coordinatrice

  • Matteo Saraconi
    Responsabile

  • Angela Vignati
    Affiliata
Viale Italo Chirieletti, 308/310 00052 Cerveteri (RM)
Zona: Cerveteri
Mostra su mappa
Orari: Lunedì : 9:00 - 13:00 / 15:30 - 19:00 Martedì : 9:00 - 13:00 / 15:30 - 19:00 Mercoledì : 9:00 - 13:00 / 15:30 - 19:00 Giovedì : 9:00 - 13:00 / 15:30 - 19:00 Venerdì : 9:00 - 13:00 / 15:30 - 19:00 Sabato : 9:30 - 13:00 / 14:00 - 18:00
Affiliato
Domina Srl
Viale Italo Chirieletti, 308/310 00052 Cerveteri (RM)

2025 Tecnocasa Franchising S.p.A. - P. IVA 08365160152 - Via Monte Bianco 60/A 20089 Rozzano (MI). Ogni agenzia ha un proprio titolare ed è autonoma. Privacy policy | Policy utilizzo | Cookie policy